cywhale
2 years ago
很有力量!蔡英文:我滿懷喜悅,為你命名與擲瓶。我由衷祝福,並賦予你捍衛海疆、確保國家安全的國防神聖使命,現在,我正式命名你為「海鯤軍艦」...國造海鯤潛艦下水 蔡總統:我們做到了 歷史會記得這天 | 政治 | 中央社 CNA歷史將會記得這天 #20230928 !TW
latest #12
cywhale
2 years ago
棋靈王上身^^ 一路連敗世界2,1,3 八冠王(我知道柯潔是因為輸AlphaGO的對戰..) 許皓鋐 亞運奪冠。今天的台灣 跟月亮一樣,超亮眼!許皓鋐奪台灣圍棋亞運史上首金 橫掃世界前3好手「夢想成真」 | 運動 | 中央社 CNA看到之前接受中央社記者訪問時,許皓鋐表示,他所追求的不只是棋盤上的勝負,更希望像日本知名漫畫「棋靈王」一樣,下出「神乎其技的一手...B-)圍棋8冠王許皓鋐神之一手 盼讓台灣再登世界巔峰 | 運動 | 中央社 CNA
cywhale
2 years ago
對了 還有李智凱 從小看他長大(無誤~紀錄片^^) 真的發光發熱 兩屆亞運連霸 完美落地~~Facebook
cywhale
2 years ago
本日經典 0.01秒 南韓提前歡呼 vs 台灣 #黃玉霖 伸腿壓線 南韓選手損失慘重.. 難以用慘字形容亞運競速溜冰韓國太早慶祝 台灣選手壓線0.01秒勝出奪金喊「奇蹟」 | 運動 | 中央社 CNAhttps://pbs.twimg.com/media/F7aDumnbsAA2qBQ?format=jpg&name=medium
立即下載
cywhale
2 years ago
20231005 破了台灣史上最大風速(1984 也在蘭嶼)的小犬颱風...同樣也是
Top 5 highest wind gusts ever recorded on Earth.Colin McCarthy on XFacebook
cywhale
2 years ago
"台灣自從1958年之後、睽違65年來的第一面亞運拳擊金牌,而上次拿到金牌的是男拳手,所以, #林郁婷 是台灣史上第一位拿到亞運金牌的女拳手"... Congrats!Facebook
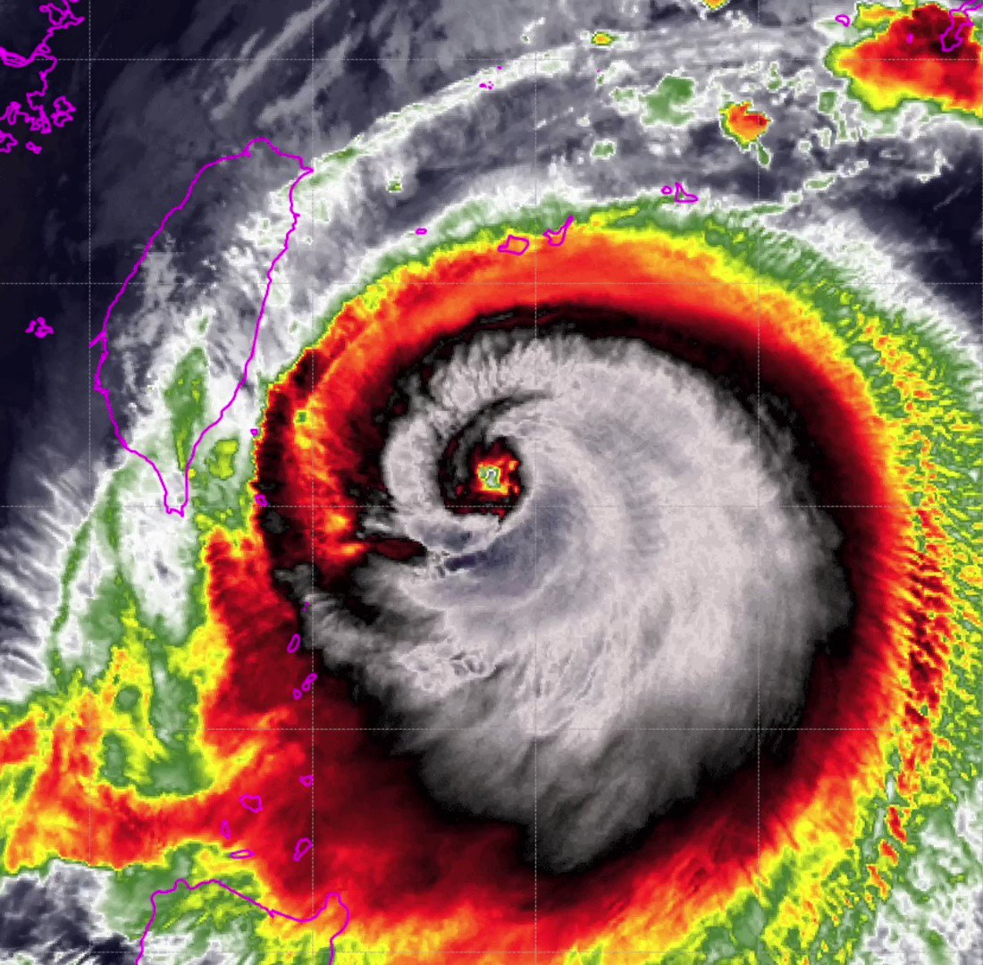
cywhale
2 years ago
留個記錄 蘭嶼的陣風紀錄95.2m/s
不只刷新了台灣氣象史上最強陣風紀錄
同時也擠進了世界氣象觀測史上的第三名
僅次於1996年熱帶氣旋Olivia於澳洲巴羅島
創下的113.1m/s (407km/hr)
以及1934年溫帶氣旋於美國華盛頓山
錄得的103.3m/s (372km/hr)
by 台灣颱風論壇Facebook
cywhale
2 years ago
by 盲眼的尼安德塔石器匠~應景諾貝爾文學獎 提到了 Bob Dylan -> Dylan Thomas 以他的詩句收尾
不要溫馴地步入那美好黑夜,
Do not go gentle into that good night,
老人在白晝將盡應燃燒與咆哮;
Old age should burn and rave at close of day;
奮起,奮起抵抗光之逝去。
Rage, rage against the dying of the light.Facebook
cywhale
2 years ago
獵風者衛星紀錄片《海的信使》完整版-中文版獵風者衛星紀錄片《海的信使》完整版-中文版就是明天 20231007 #獵風者 衛星明天發射 #Triton #Taiwan 國家太空中心Facebookcywhale on X
cywhale
2 years ago
最後倒數直播Facebook
cywhale
2 years ago
本來不懂為何楊烈要在國慶上吟詠"意難忘",原來如此:
"1925年6月21日蔡惠如因臺灣議會請願事件而入獄,他在台中監獄入獄期間所寫的「意難忘」詞牌曲,台中的歷史再造現場登上國慶舞台,太有創意了!
————————————————————
意難忘/下獄之日清水台中人士見送途將為塞賦此鳴謝_蔡惠如
芳草連空、又千絲萬縷、一路垂楊、千愁離故里、壯氣入樊籠、清水驛、滿人叢、握別到臺中、老輩青年齊見送、感慰無窮。 山高水遠情長、喜民心漸醒、痛苦何妨、松筠堅節操、鐵石鑄心腸、居虎口、自雍容、眠食亦如常、記得當年文信國、千古名楊。"Facebook
cywhale
1 years ago
謝謝小英,這8年辛苦了!Facebook從2012敗選至今,帶領DPP逆風前行長達12年。
其實已經有點難以想像沒有她的DPP...
接棒的賴蕭加油了。這幾年賴清德應該有變得圓融些,沒有國會優勢,沒有地方執政,想必一切都得靠人和才能推展,偏偏目前各種仇恨亂鬥更勝過去只有藍綠之時。加油,需要大智慧!
cywhale
5 months ago
#台灣 #國防安全 筆記一下 烏克蘭是第一個國家每晚使用攔截無人機,阻擋俄羅斯每架2萬美元、400架次+ Shahed drones
北約在研究他們的模式,我們也得跟上! 影片與系列文(留言)在~~Tymofiy Mylovanov (@Mylovanov) on X#至於亂刪國防預算與無人機的藍白~0726拜託大家了
back to top